Service Guide

Get Ants Extermination Service

Local contractors specializing in ant extermination handle pest removal, infestations, and prevention for residential and commercial properties.

Ants Extermination Services provide an essential solution for property owners dealing with ant infestations. If you're noticing persistent ant activity around your home or business, exploring local options can help you find experienced service providers equipped to address the issue effectively. Many property owners seek professional assistance to prevent damage, maintain cleanliness, and ensure a comfortable environment, making it worthwhile to compare local contractors who specialize in ant control.

Continuing to research and connect with local experts allows property owners to evaluate available services tailored to their specific needs. Whether for ongoing prevention or urgent removal, understanding the options in your area can help you plan your pest management efforts with confidence. Keep reading to discover how local ant extermination professionals can assist in safeguarding your property.

Get Ants Extermination Service Quotes

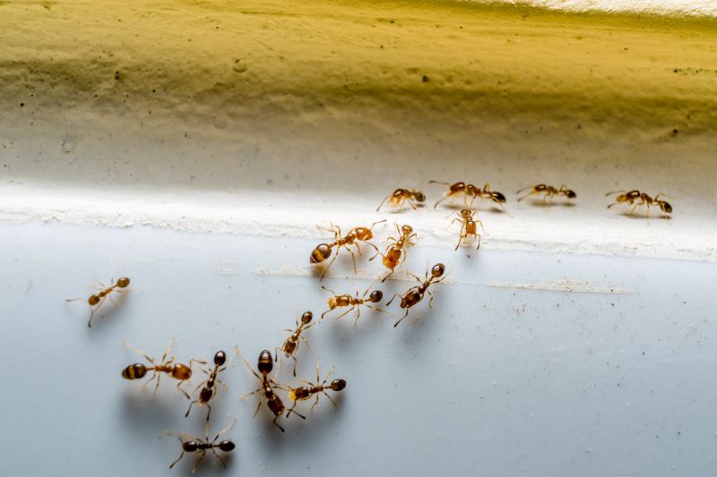
  • Ants Extermination - needed when ants invade indoor living spaces or food storage areas.
  • Ants Nest Removal - required if ants establish nests in yards, gardens, or around the foundation.
  • Ant Control Services - sought when ant populations become difficult to manage with DIY methods.
  • Ant Barrier Treatment - used to prevent ants from entering homes and commercial properties.
  • Ant Infestation Cleanup - necessary after an ant infestation has been eradicated to ensure complete removal.
Ants Extermination Service
Ants Extermination Service
Ants Extermination Service

Ants extermination services involve identifying and eliminating ant infestations within residential or commercial properties. These services typically include thorough inspections to locate ant colonies, followed by targeted treatments designed to remove both visible ants and their hidden nests. Service providers may use a combination of baiting systems, residual sprays, and other proven methods to ensure the complete eradication of ants from the premises. The goal is to create a barrier that prevents future invasions, helping property owners regain control over their indoor and outdoor spaces.

Ant problems often arise when ants find accessible food, water, or shelter within a property. Common signs include visible trails of ants, ants in kitchens or pantries, and the presence of small mounds or trails outdoors. These pests can quickly become a nuisance, especially when they invade food storage areas or establish colonies inside walls, under floors, or in other hidden spots. Ant extermination services are designed to address these issues effectively, reducing the risk of ongoing infestations and damage caused by persistent ant activity.

The types of properties that typically require ant extermination services include single-family homes, apartment complexes, restaurants, and retail stores. Any property with accessible food sources or conducive environments for ants can become a target for infestations. Commercial properties, in particular, may face stricter health and sanitation standards, making prompt and thorough ant control essential. Residential properties often seek these services to maintain a clean, pest-free living environment, especially when ants become a recurring problem despite basic cleaning efforts.

When ants become a persistent problem or when initial DIY methods fail to control the infestation, professional extermination services can provide a reliable solution. Homeowners and property managers may consider these services when noticing increased ant activity, unusual trails, or nests in hard-to-reach areas. By connecting with experienced local contractors, property owners can choose effective treatment options tailored to their specific situation. These professionals help ensure that ant problems are resolved efficiently, restoring comfort and hygiene to the property.

The overview below groups typical Ants Extermination Service projects into broad ranges so you can see how smaller, mid-sized, and larger jobs often compare in your area.

In many markets, a large share of routine jobs stays in the lower and middle ranges, while only a smaller percentage of projects moves into the highest bands when the work is more complex or site conditions are harder than average.

Smaller Repairs - Typical costs for routine ant extermination jobs, such as treating a single infested kitchen or small area, generally range from $250 to $600. Many projects fall within this middle band, covering common issues with ants. Fewer jobs reach the higher end of this range unless additional treatments are needed.

Moderate Treatments - Larger or more persistent ant infestations, involving multiple areas or extended treatment plans, usually cost between $600 and $1,200. These projects are common for homes with widespread ant activity requiring more comprehensive solutions. Costs in this range reflect increased labor and treatment scope.

Extensive or Complex Projects - For extensive infestations, including multiple property areas or structural treatments, costs can range from $1,200 to $3,000. Such projects are less frequent and often involve detailed inspections and multiple treatments to fully eradicate ants.

Full Property Extermination - Complete ant eradication for large properties or severe infestations can reach $3,000 or more, with some complex cases exceeding $5,000. These are typically rare and involve extensive work, including structural repairs or long-term prevention measures.

Actual totals will depend on details like access to the work area, the scope of the project, and the materials selected, so use these as general starting points rather than exact figures.

Get a Quote

Pest Control for Cockroaches - professionals use similar techniques and tools to identify and eliminate pests, including targeted treatments and inspection methods.

Spider Extermination Services - involves planning and executing treatments to remove webs and spiders, requiring knowledge of pest habitats and control strategies.

Termite Treatment Projects - require detailed inspection and application of specialized treatments, paralleling ant extermination methods and planning.

Rodent Removal Services - involve trapping, sealing entry points, and applying baiting strategies, similar to ant control planning and execution.

Bed Bug Eradication Projects - demand thorough inspection and targeted treatment techniques, akin to ant extermination approaches.

Mosquito Control Services - focus on habitat reduction and targeted spraying, utilizing similar planning and application skills as ant pest management.

Ants Extermination Service

When evaluating potential contractors for ant extermination services, it’s important to consider their experience with similar projects. A local service provider with a proven track record in handling ant infestations can bring valuable insight and effective strategies to the job. Homeowners should inquire about the contractor’s familiarity with the specific types of ants present and their success in resolving comparable issues, which can help ensure the chosen professional understands the nuances of local pest challenges.

Clear, written expectations are essential to a smooth working relationship. Homeowners should seek service providers who can offer detailed descriptions of their approach, the steps involved, and what results to expect. Having this information in writing helps prevent misunderstandings and provides a reference point throughout the project. It’s also beneficial to ask for references from previous clients who had similar ant problems, as this can provide insight into the contractor’s reliability, professionalism, and ability to deliver satisfactory results.

Good communication is a key factor when selecting a local contractor for ant extermination. An effective service provider should be responsive, transparent, and willing to answer questions throughout the process. Clear communication ensures that homeowners remain informed and comfortable with the service plan. It’s important to remember that this site introduces homeowners to local options for pest control services; it does not perform the work itself. Connecting with reputable local contractors who prioritize open communication, have relevant experience, and provide clear expectations can lead to a more successful and stress-free pest management experience.

Get an Ants Extermination Service Quote

Property owners use Ants Extermination Service services for practical projects around their homes and businesses. This guide focuses on everyday jobs and straightforward project options.

Ants Extermination Service
Ants Extermination Service

Ants can quickly become a nuisance for property owners dealing with everyday situations like food contamination, disturbed outdoor gardens, or persistent sightings inside the home. Local contractors specializing in ant extermination are equipped to handle these common issues, providing effective solutions to eliminate colonies and prevent future invasions. Whether it’s a small kitchen infestation or a larger outdoor ant problem, experienced service providers can assess the situation and recommend appropriate treatment options.

Many property owners seek ant extermination services when they notice increased activity around their property, especially during warmer months when ants are most active. Problems often arise from ants finding easy access points or attractive food sources, making regular inspections and targeted treatments necessary. Local professionals can identify entry points and implement measures to keep ants from returning, helping maintain a clean and pest-free environment.

Get an Ants Extermination Service Quote

How do local contractors handle ant infestations? They typically perform thorough inspections to identify ant entry points and nesting areas, then apply targeted treatments to eliminate the colony and prevent future issues.

What methods are used to exterminate ants? Service providers may use baiting systems, liquid insecticides, or dust treatments, depending on the severity of the infestation and the type of ants present.

Are ant extermination services safe for pets and children? Many local contractors use treatments that are safe when applied according to instructions, but it's recommended to discuss safety concerns with the service provider beforehand.

Can ant extermination services prevent future infestations? Yes, professionals often offer advice on sanitation and structural repairs to reduce attractants and entry points that can lead to future ant problems.

What should I do to prepare for an ant extermination service? Typically, it’s advised to clear clutter near entry points, keep food sealed, and follow any specific instructions provided by the service provider to ensure effective treatment.

Ants Prevention Strategies - Property owners can explore ways to reduce attractants and prevent ant invasions by consulting local contractors for effective prevention methods.

Infestation Inspection - Homeowners experiencing signs of ants can seek professional inspections to identify the source and extent of the problem.

Targeted Ant Removal - When ants become a nuisance, property owners can connect with service providers who specialize in safe and effective removal techniques.

Barrier Treatments - For ongoing protection, property owners might consider barrier treatments applied by local contractors to keep ants from entering indoor spaces.

Ants Extermination Service

If you are thinking about Ants Extermination Service for a property, this guide is meant to help you understand the work, the typical project types, and how different options might fit your plans.

When you are ready, you can use the quote form on this page to share a few details about your project. From there, local pros can review the basics and respond with options that match what you have in mind.

Get a Quote

Ants Extermination Quotes